Sechs wundervolle Tage im Candi Beach Resort auf Bali: Tage voller Entspannung, Ruhe, aber auch kleiner Erlebnisse und Abenteuer.
Liebe Leser, ich habe mich in dieser Zeit rar gemacht. Ich wollte den Urlaub einfach genießen, mich treiben und verwöhnen lassen.
Aufstehen, Yoga auf der Dachterrasse oder auf der eigenen Terrasse, ausgedehntes Frühstück (fast schon Brunch), Abtauchen im Infinity-Pool oder im Ozean, Lesen, ein Drink an der Poolbar, Frangipaniblüten sammeln und im Jacuzzi verteilen. Wann hatte ich jemals einen solchen Urlaub? Ich kann mich nicht erinnern. Es klingt fast schon dekadent. Das Zimmer wurde zweimal am Tag gereinigt: früh morgens und am Abend wurde noch einmal das Bett aufgeschüttelt und die Vorhänge zugezogen. Dabei schlafen wir doch lieber bei offenem Fenster – auch wenn das Meeresrauschen etwas lauter war. Morgens schlossen wir es trotzdem, denn nach dem Vogelgezwitscher stiegen Rauchschwaden aus der Nachbarschaft auf und verdarben die Luft. (Eine Müllabfuhr gibt es hier nicht. Der Balinese entsorgt seinen Abfall per Feuer im Garten.)














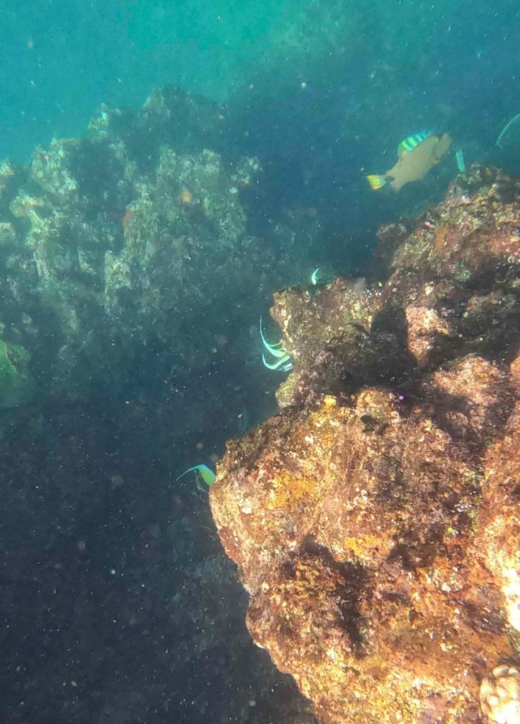
Neben der üblichen Routine schlossen wir uns einem einheimischen Fischer an, der uns mit seinem Boot zum Schnorcheln an kleine Felseninseln brachte. Wir verzichteten auf die Blue Lagoon, zu der alle strömen, und entschieden uns für die Felsengruppe direkt gegenüber unserer Hotelanlage. Dort kann man manchmal Babyhaie sehen – vor uns haben sie sich leider versteckt. Dafür aber begegneten uns viele bunte Fische, Dori und Nemo, Seeanemonen und verschiedene Korallen. Wir fanden, das war lohnender als die Blue Lagoon.






Im Hotel wurden zwei Wanderungen angeboten, am Morgen und am späten Nachmittag. Mit Sinta „wanderten“ wir 50 Höhenmeter hinauf ins Dorf, durch einen Bananenwald und erfuhren einiges über Bali. Zum Beispiel, dass die Bananen dort ungenießbar sind – wusste ich gar nicht! Wir kamen an Bauernhöfen vorbei, wo Kühe weideten, Hühner über die Straße liefen und ein Hahn vom Dach krähte.















In einem der tausend Tempel, die es auf Bali gibt, fand gerade eine Zeremonie statt. Tatsächlich kann man täglich irgendwo eine erleben, denn alle sechs Monate wird in jedem Tempel gefeiert. Die Hindus tragen dazu weiße Blusen und Hemden sowie bunte Sarongs. Touristen dürfen die Tempel übrigens nicht einfach betreten – Affen schon. Die dürfen alles.



Am letzten Urlaubstag unternahmen wir einen Ausflug nach Nusa Penida, eine Insel zwischen Bali und Lombok. Ganz früh am Morgen holte uns Komat, unser Reiseführer, ab. Mit dem Taxi fuhren wir zum Hafen, von dort ging es mit den Einheimischen im Schnellboot nach Nusa Penida. Auf der Insel wartete bereits das nächste Taxi, das uns den ganzen Tag zur Verfügung stand.



Die Exkursion begann mit Schnorcheln in der Manta-Bucht. Vielleicht würden wir die schwarzen Rochen sehen, vielleicht auch nicht. Ich fühlte mich wie beim Delfin- oder Wal-Watching: viel Geld für ein „Vielleicht“. Wir hatten ein privates Boot, aber natürlich waren wir nicht allein. Knatternde Motorboote und Scharen von Schnorchlern machten Jagd auf die Tiere. Ich fühlte mich ein wenig schlecht – die armen Rochen. Als ob sie nur auf uns warteten. Doch tatsächlich tauchte einer auf. Schnell ins Wasser – und da war er: direkt vor mir, schaute mich an, öffnete sein Maul und glitt davon. Die Massen stürzten sich hinterher. Zwei weitere Male sah ich ihn, aber ich war zu langsam für die GoPro. Außerdem hatte ich ständig fremde Arme und Beine in den Rippen. Überlebenskampf im Wasser – nur für das Foto.


Wir besuchten noch zwei weitere Schnorchel-Spots, schwammen durch eine Wand aus winzigen Fischen und entdeckten sogar Seenadeln.



Schnorcheln macht hungrig. Mittagessen gehörte zur Tour, doch lange ausruhen konnten wir uns nicht. Weiter ging es mit dem Taxi über die holprigen Straßen der Insel. Und wenn ich „holprig“ sage, klingt das harmlos – in Wahrheit war es extrem. Ein Schlagloch neben dem anderen, dazu enge Straßen. Am Abend schmerzte mein Rücken.


Die nächste Station war Broken Beach, wo die Küste über einer Höhle eingebrochen ist und ein natürliches Loch hinterlassen hat. Wir spazierten bis zur Angel’s Billabong, einem Wasserloch. Obwohl Ebbe war, hatten wir Glück: Noch einmal zeigte sich ein schwarzer Manta.



Der letzte Halt war Kelingking Beach. Was soll ich sagen?! Malerisch, wunderschön. Weißer Strand, tiefblaues Wasser – einfach traumhaft. Leider völlig überlaufen. Insta-Hotspot eben. Vor allem Chinesinnen in flatternden Kleidchen, die nach DEM Foto jagten. Doch das Bild wurde durch einen riesigen Kran zerstört – ein chinesisches Unternehmen baut hier tatsächlich einen Fahrstuhl hinunter zur Küste. Für uns unverständlich. Damit ruiniert man diese atemberaubende Aussicht, und von der Idylle bleibt kaum etwas. Wer Zeit hat, kann in 45 Minuten zum Strand hinunterwandern – und braucht entsprechend länger, um wieder hochzukommen. Uns fehlte die Zeit, unser Boot fuhr um 16 Uhr zurück.


Jetzt sitzen wir am Flughafen. Unser Flug nach Singapur verspätet sich. Wir bleiben entspannt und lassen uns davon nicht stressen. Noch zwei Tage dort, bevor es endgültig nach Hause geht.
From Yoga to Baby Sharks – Our Luxury Routine in Bali
Six wonderful days at the Candi Beach Resort in Bali: days full of relaxation, calm, and little adventures.
Dear readers, I kept a low profile during this time. I simply wanted to enjoy the vacation, let myself drift, and be pampered.
Wake up, yoga on the rooftop terrace or the private terrace, an extended breakfast (almost a brunch), diving into the infinity pool or the ocean, reading, a drink at the pool bar, collecting frangipani blossoms and sprinkling them in the jacuzzi. When did I ever have such a vacation? I can’t remember. It almost sounds decadent. The room was cleaned twice a day: once in the morning and once in the evening, with the bed fluffed and the curtains drawn again. But we actually prefer sleeping with the window open – even if the sound of the waves was a bit louder. In the morning, however, we still closed it, because after the birdsong, smoke from nearby fires drifted in and spoiled the air. (There’s no garbage collection here. Balinese people burn their trash in the garden.)
Aside from our routine, we joined a local fisherman who took us by boat to small rocky islands for snorkeling. We skipped the famous Blue Lagoon, which everyone seems to flock to, and instead chose the little rocky group directly across from our hotel. Sometimes you can spot baby sharks there – but they hid from us. Still, we saw plenty of colorful fish, Dory and Nemo, sea anemones, and different corals. We thought that was more worthwhile than the Blue Lagoon.
The hotel also offered two hikes, one in the morning and one in the late afternoon. With Sinta we “hiked” 50 meters uphill into the village, through a banana grove, and learned a few things about Bali. For example, the bananas there are apparently inedible – I never knew that bananas could be inedible! We passed small farms with grazing cows, chickens crossing the street, and a rooster crowing from the roof.
In one of Bali’s thousand temples, a ceremony was taking place. In fact, you can witness one somewhere almost every day, since each temple celebrates every six months. The Hindus were dressed very festively: white blouses and shirts, colorful sarongs. Tourists can’t just enter a temple – monkeys can though. They’re allowed everywhere.
On our last day in Bali, we took a trip to Nusa Penida, an island between Bali and Lombok. Very early in the morning Komat, our guide, picked us up. Taxi to the harbor, then with the locals by speedboat across to Nusa Penida. Another taxi was already waiting there to drive us around for the whole day.
The excursion began with snorkeling in Manta Bay. Maybe we’d see the giant manta rays, maybe not. It felt a bit like dolphin or whale watching: a lot of money for a “maybe.” We had a private boat, but of course we weren’t alone. A swarm of noisy boats and hordes of snorkelers were hunting for the mantas. I felt a bit guilty – those poor animals. As if they were waiting just for us. But then one appeared. We jumped into the water, and there it was – right in front of me. It looked straight at me, opened its mouth, and glided away. The masses went after it like crazy. Twice more I got to see one, but I was too slow for the GoPro. And all the while I kept getting arms and legs in my ribs. Survival of the fittest in the water – all for the photo.
We visited two more snorkeling spots, swam through a wall of tiny fish, and even spotted some pipefish.
Snorkeling makes you tired and hungry. Lunch was included in the tour, but we didn’t have much time to rest. Soon we were off again by taxi, over the island’s notoriously bumpy roads. And when I say “bumpy,” that sounds harmless – in truth, it was extreme. Pothole after pothole, narrow roads. By the evening, my back hurt.
The next stop was Broken Beach, where part of the coast had collapsed above a cave, leaving a hole. We walked along the cliffs to Angel’s Billabong, a natural rock pool. Even though it was low tide, we were lucky enough to spot another manta ray.
The last stop was Kelingking Beach. What can I say?! Breathtaking, stunning. White sand, deep blue water – simply gorgeous. Unfortunately, packed with tourists. An Instagram hotspot, of course. Mostly young women in fluttery dresses, hunting for THE photo. But the view was spoiled by a huge crane – a Chinese company is building an elevator down to the beach. We couldn’t believe it. It completely ruins the magnificent view, and soon there won’t be much left of the idyll. Such a shame that it’s allowed. If you have time, you can hike down to the beach in 45 minutes – and naturally need much longer to get back up. We didn’t have the time; our boat back left at 4 p.m.
Now we’re sitting at the airport. Our flight to Singapore is delayed. But we’re relaxed and not letting it stress us. Two more days there before heading home for good.
Hinterlasse einen Kommentar